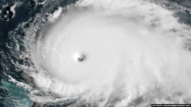
«Դորիան» փոթորիկը մոտենում է ԱՄՆ ափերին
Ջորջիայի, Ֆլորիդայի և Հյուսիսային Քարոլինայի նահանգապետերը երեկ պարտադիր տարհանման կարգադրագրեր են արձակել ամերիկյան այդ նահանգներին «Դորիան» փոթորկի մոտենալու պատճառով։
Ատլանտյան օվկիանոսից եկող փոթորիկը արդեն հասել է 5-րդ կատեգորիայի ուժգնության և կարող է ազդեցություն թողնել միլիոնավոր մարդկանց վրա։


















































Ո՞ւմ է ուզում ԱԺ նախագահ դարձնել Փաշինյանը
Հռիփսիմե Հունանյանը հրաժարական է ներկայացրել ԱԺ Առողջապահության հարցերի հանձնաժողովի նախագահի պաշտոն...
TRIPP նախագծի շրջանակում մենք նոր տրանսպորտային միջանցք կստեղծենք. Ալիև
Հունվարը 27-ը սահմանվեց Հայրենիքի պաշտպանության համար զոհվածների հիշատակի օր. ՀՀ Նախագահը ստորագրել ...
Եվրախորհրդարանի շենքի մոտ զանգվածային բողոքի ցույցեր են տեղի ունեցել
Վաշինգտոնը և Կիևը Դավոսում չեն ստորագրի Ուկրաինայի հետպատերազմյшն վերականգնման վերաբերյալ 800 միլիար...
Ես նրանց կջնջեմ երկրի երեսից, եթե uպառնալիքները շարունակվեն. Թրամփն՝ Իրանին
Հրապարակվել է հազար խոշոր հարկատուների ցանկը. վճարված գումարները կազմել են ավելի քան 1 տրլն 946 մլրդ...
Կանադան պատրաստվում է պարտիզանական պատերազմի՝ ԱՄՆ-ի դեմ
Սպիտակ տունը հրապարակել է Թրամփի 365 «հաղթանակի» ցանկը` 143-րդ համարում նշելով Հայաստանի և Ադրբեջանի...